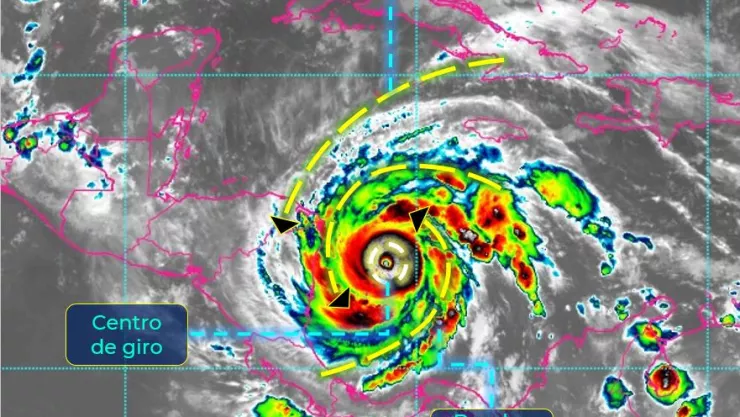
La Comisión Nacional del Agua informó esta mañana que “IOTA” ha cobrado fuerza rápidamente a huracán categoría 4 en la escala Saffir-Simpson y continúa su desplazamiento hacia el oeste con trayectoria hacia la costa norte de Nicaragua.

TE PODRÍA INTERESAR:
Vacuna de Moderna tiene 94.5% de efectividad para prevenir Covid-19

De acuerdo con su último informe, “IOTA” se encuentra a 275 kilómetros al este-sureste de Cabo Gracias a Dios, en la frontera entre Honduras y Nicaragua, y a 905 kilómetros al sureste de Puerto Costa Maya, Quintana Roo.

IOTA” tiene vientos sostenidos de 230 kilómetros por hora con rachas de 280 kilómetros por hora.

huracán-iOTA-nicaragua-
|Lugo Garduño Marco Antonio

A principios de noviembre, Eta, uno de las tormentas más poderosas que impactó Centroamérica en años, tocó tierra en Nicaragua. En los días siguientes, el ciclón avanzó por la región descargando potentes lluvias que dejaron más de 100 fallecidos, al menos 2.5 millones de afectados e infraestructura destrozada desde Panamá hasta el sur de México.

Una de las áreas más golpeadas fue la zona central guatemalteca Alta Verapaz, donde una montaña se derrumbó sobre el poblado Quejá, enterrando vivas a decenas de personas. Ante la imposibilidad de encontrar a los atrapados bajo metros de lodo y piedras, la zona será declarada camposanto.

EVACUACIONES

El domingo, las autoridades continuaban evacuando a pobladores de las zonas más vulnerables a Iota en Guatemala, Honduras y Nicaragua. En El Salvador se declaró alerta amarilla en todo el país para activar las comisiones de protección civil mientras esperaban las lluvias.

En Honduras, donde Eta dejó 74 fallecidos y nueve desaparecidos de acuerdo a cifras oficiales, algunos evacuados empezaban a llegar desde la Mosquitia, una remota zona bañada por el mar Caribe que comparten Nicaragua y Honduras.

"Pero sólo es gente que tiene una lanchita o un cayuco (bote pequeño). El resto de la gente está en sus comunidades", dijo Douglas Espinal, jefe del departamento de bomberos de Puerto Lempira, en la Mosquitia.

La autoridad explicó que Puerto Lempira, capital del departamento Gracias a Dios donde Iota tocará tierra, se quedó sin combustible ya que suspendieron las entregas tras la llegada de Eta, lo que imposibilitaba que los bomberos llevaran a cabo una evacuación más extensa.

Gracias a Dios, en el oriente del país, es una región remota sólo accesible por aire, mar o ríos. Con poco más de 100.000 habitantes, según cifras oficiales, el área alberga a una serie de comunidades indígenas, entre las que se encuentran los miskitos, garífunas, pech y tawahkas.

"Lanchas hay, motores hay, pero no hay combustible. La mayoría del pueblo está en sus comunidades", se lamentó Robin Morales, presidente de la organización Unidad de la Mosquitia MASTA.

El presidente de Guatemala, Alejandro Giammattei, externó el sábado su preocupación por la tormenta que se avecina e instó el domingo a que los pobladores de las zonas más susceptibles a las lluvias se desplacen a los albergues más cercanos.

En Nicaragua, las autoridades dijeron que también se estaban llevando a cabo evacuaciones de las comunidades indígenas y pesqueras en la costa de Mosquitos.