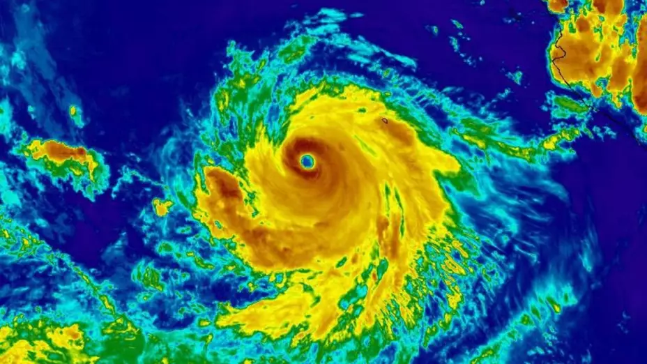
El huracán “Linda” se intensificó a categoría 3 en la escala Saffir-Simpson, en el Pacífico y provocará oleaje en al menos cinco estados, informó el Servicio Meteorológico Nacional (SMN) de la Conagua.
En su pronóstico de las 16:00 horas, el SMN indicó que el huracán “Linda”, categoría 3, se ubica a 675 kilómetros (km) al sur-suroeste de Cabo San Lucas, en Baja California Sur y a 820 km al oeste-suroeste de Cabo Corrientes, Jalisco.
Te puede interesar: ¿Cómo se eligen los nombres para los huracanes?
De acuerdo con el SMN, la trayectoria del huracán “Linda” se aleja de México, sin embargo, provocará oleaje de entre dos y tres metros en las costas de los estados de Baja California Sur, Nayarit, Jalisco, Colima y Michoacán.
El huracán “Linda” tiene vientos máximos sostenidos de 185 kilómetros por hora (km/h), rachas de 220 km/h y desplazamiento hacia el oeste-noroeste a 22 km/h.
El SMN indicó que la circulación del huracán “Linda”, categoría 3, refuerza la entrada de humedad hacia el occidente del país.
Esta tarde se formó, a 3,750 km al este de las costas de #QuintanaRoo, la #DepresiónTropical Siete. No genera efectos en #México pero se vigila su evolución. Los detalles en la liga ⬇️https://t.co/iGFK4kaRaU pic.twitter.com/I9zCx53FYH
— CONAGUA Clima (@conagua_clima) August 13, 2021
Huracán “Linda” y otros fenómenos meteorológicos causarán lluvias
El SMN indicó que en las próximas horas, un canal de baja presión sobre la Sierra Madre Occidental en interacción con la humedad proveniente de la circulación del huracán “Linda”, categoría 3, y el paso de la Onda Tropical Número 20 por el sur y centro de México, ocasionarán lluvias muy fuertes en los estados de Chihuahua, Guerrero, Oaxaca y Sonora, CDMX, Durango, Estado de México, Jalisco, Guanajuato, Michoacán, Morelos, Nayarit, Puebla y Sinaloa,
Además de chubascos en Coahuila, Colima, Hidalgo, Nuevo León, Querétaro, San Luis Potosí, Tamaulipas, Tlaxcala y Zacatecas.
Colección de imagenes del #Huracan #Linda Cat. III pic.twitter.com/rsBU2y09yQ
— Agustín Alvarez (@augustpeztutu) August 14, 2021
Agregó que, durante la tarde del viernes, en el Mar Caribe, el Potencial ciclón tropical siete se intensificó a la Depresión Tropical Siete. Su centro se localizó a mil 85 km al este de las Antillas menores, y a 3 mil 750 km al este de las costas de Quintana Roo, por lo que no representa peligro para territorio mexicano.
Asimismo, la depresión tropical Fred en el Océano Atlántico se localizó a 25 km al sur-suroeste de Caibarién, Cuba, con vientos máximos sostenidos de 55 km/h, rachas de 75 km/h y desplazamiento hacia el oeste a 19 km/h, este fenómeno tampoco representa efectos en México,
Te puede interesar: Granizada pinta de blanco calles de León, Guanajuato